Imagine 31
ID: P18399 Brasov, Bartolomeu 143
6.600.000€

Teren Intravilan 60.000mp

Suprafata teren
60000 mp
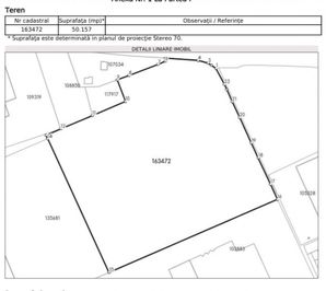
Front stradal
240 m
Caracteristici
  • ID:P18399
  • S. teren:60000.00 mp
  • Front stradal:240.00 m
  • Clasificare teren:Intravilan
Descriere
P18399 Smart Imobiliare are de vanzare un teren agricol situat în Brasov, în zona Bartolomeu, pe Calea Fagarasului, cu o suprafață totală de aproximativ 50157 mp și un front stradal de circa 240 m, pe fronturi. Proprietatea se remarcă prin poziționarea într-o zonă bună și prin accesul facil către , fiind potrivită pentru cei care caută un teren cu potențial bun de dezvoltare pe termen mediu și lung.

Terenul face parte din categoria agricol și are indicii urbanistici, ceea ce permite dezvoltarea unor construcții conforme cu reglementările locale, în funcție de proiectul viitorului proprietar. Suprafața terenului oferă flexibilitate pentru amplasarea unei case individuale, a unui duplex, a unui mic ansamblu de locuințe sau a altor funcțiuni compatibile cu zona și cu planul urbanistic.

Din punct de vedere al utilităților, proprietatea beneficiază de , ceea ce reprezintă un avantaj important atât în etapa de autorizare, cât și în cea de execuție a construcțiilor. Accesul la teren se face din stradă, asigurând legătura cu principalele artere de circulație ale zonei și cu punctele de interes din Brasov.

Poziția terenului este una fantastică și suprafața de 50157 mp îl recomandă pentru dezvoltări rezidențiale/mixt rezidențial-comercial, în funcție de conceptul pe care îl are viitorul proprietar.

Prețul de promovare este de 6.600.000€ /negociabil în funcție de condițiile stabilite împreună cu proprietarul. Pentru mai multe detalii despre această proprietate și pentru programarea unei vizionări, vă rugăm să contactați consultantul responsabil. Smart Imobiliare vă oferă consultanță completă pe tot parcursul tranzacției, de la prima vizită și până la predarea cheilor.
Specificatii
Localizare
Anda Apachitei
Consultant Imobiliar
Esti interesat de aceasta proprietate ?
Proprietati similare
Imagine 18416
Teren intravilan 3HA zona Avantgarden Selimbar
Sibiu, Selimbar 7.500.000€ + TVA
30000mp